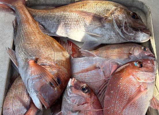
2025年 · 1月 17日, 2026年 1月17日 チョーさんの釣り情報取材 今日はチョーさんの釣り情報取材でした。 助っ人として緑町の料理屋「辻が花」の大将が参加してくれました😆 狙いは鯛とホゴ😄 タイラバはチョーさんが絶好調でしたwww😅 詳しくは2月1日放送予定の「チョーさんの釣り情報」をみてくださいね~。 お疲れ様でした。ありがとうございました。 tagPlaceholderカテゴリ: