· 

12月13日 カワハギ 釣果

今日は7名のお客様とカワハギ狙いで出船しました。

多人数なので、漁船シーネット号での出船でした。

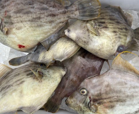
カワハギはポツポツでしたが、竿頭はキープサイズ9枚。流石です。 

青ギゾも多数釣れましたが、この時期に青ギゾとは、、、普通、青ギゾは冬眠するはずですが、、、 

竿頭の「辻が花」の大将が自ら釣った、貴重なカワハギを薄造りにして我が家にお裾分けしてくれました。 

ありがとうございます。久しぶりに食べたカワハギはとても美味でした(゚д゚)ウマー 

最後にタイラバにも挑戦しましたが、異常なしでした、、、汗 

 

寒い中、お疲れ様でした。ありがとうございました。