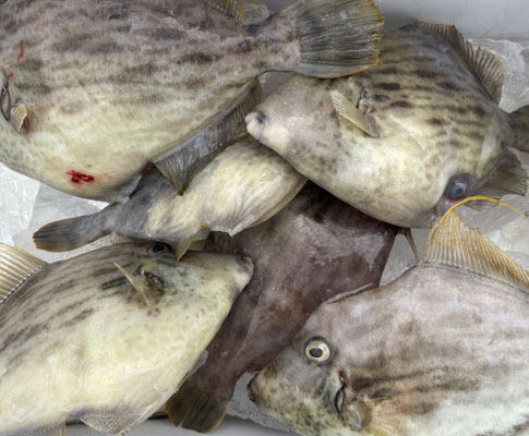
4日は3名のお客様とカワハギ、5日は3名のお客様とカワハギ&呑ませ青物狙いで出船しました。
まずは4日の釣果、、、
天気予報がハズレて一日中、雨に降られてしまいました。
雨の日はカワハギの活性が悪く、厳しい釣りになりました。ツ抜けは一名様だけでした、、、汗
トラハゼ、青ギゾも活性が低かったようです。
5日はカワハギ&青鯛で出船しました。
潮止まりにカワハギを釣りましたが、竿頭7枚、船中7枚でした、、、w
吞ませの青物は、赤物が1枚釣れただけでした。反応はありましたがワカナの反応だったようです。
餌の活アジは、ワカナには大きすぎたようです。サワラカッターは2回ありました、、、残念
お疲れ様でした。ありがとうございました。
追伸
6日の月曜日は緑町の「辻が花」さんに特注ランチを食べに行ってきました。
メニューは、4日に釣れたカワハギの外道(トラハゼ&青ギゾ)の天丼です。
いつもながら、美味しすぎます。トラハゼ&青ギゾの天ぷらは絶品ですよ。。。
















