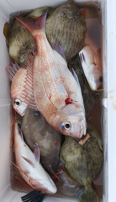
2023年 · 12月 05日, 2023年 12月5日 カワハギ&タイラバ 釣果 今日は2名のお客様と鯛&カワハギ狙いで出船しました。 冷たい雨が降る中での釣りとなりましたが、鯛もハギも飽きない程度に釣れました。 鯛は仲良く3枚づつでした。カワハギはウマヅラ混じりで数は数えてません。 風が強かったので、風裏での釣果です。。。 寒い中、お疲れ様でした。ありがとうございました。 tagPlaceholderカテゴリ: